The San Francisco Giants want to transform a 28-acre industrial site located on Port property, currently used as a surface parking lot for baseball games, into a mixed-use $1.6 billion development, featuring waterfront parks; 1,500 rental units, 40 percent of which would be affordable; retail and 1.5 million square feet of office space; a parking garage and the restoration of historic Pier 48, to be occupied by Anchor Steam Brewery.

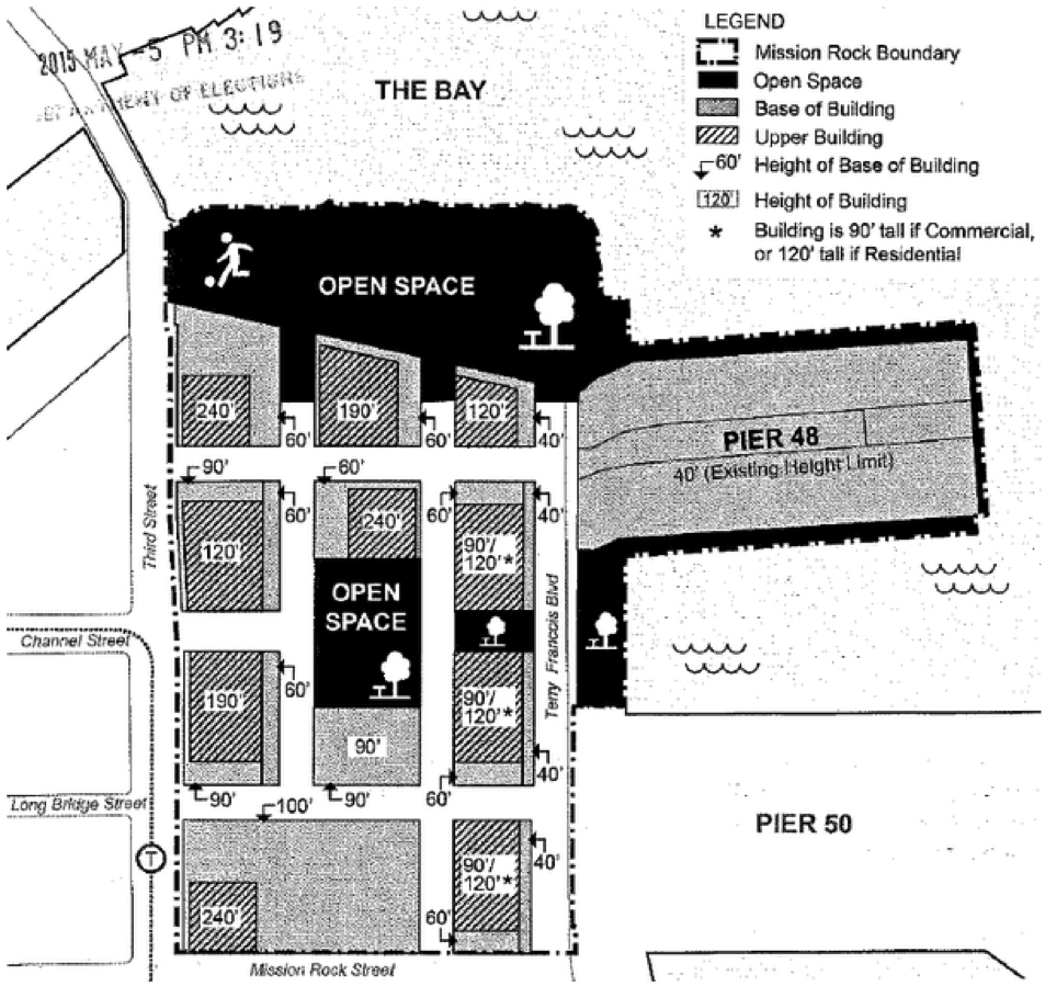
The Mission Rock Initiative, which will appear on the November ballot, would allow the Giants to increase the existing height limit of 40 feet on waterfront land to 90 to 190 feet for office and retail uses, and 120 to 240 feet for rental housing. None of the 11 buildings would be built within 100 feet of the Bay; building heights would step-down as they get closer to the water. 

In 2013, voters rejected the 8 Washington Project – “The Wall on the Waterfront” – which was to be 136 feet tall, more than 100 feet lower than the Giant’s proposal.  But then again the Washington developers weren’t the Giants. Last November, voters approved Proposition F, which more than doubled the height limit, from 40 to 90 feet, for the mixed use project on 28 acres at Pier 70.  Forest City, the developer, had won the bid over three other competitors.  There was no competitive bid for the Mission Rock project.

Since 1997, the China Basin Ballpark Company LLC – the Giants – has leased land from the Port for parking.  Their current lease, which expires in November 2017, pays the Port a rent of $2.4 million annually. As a parking lot the land is worth approximately $24 million, reflecting the $2.4 million annual rent with a 10 percent cap rate.  However, the Port, along with City Hall, has approved a change in use to enable the Giant’s development to be built.  This modification has jumped the property value to well more than $500 million, based on the proposed 28 acre project, less eight acres of land designated for parks and open space, multiplied by $25 million an acre.  Even with existing height limits, this choice piece of property is located in one of the world’s most premium locations.

The Port has aging facilities and is always looking for revenue.  Under the development agreement with the Giants, the Port will receive $3.4 million annually in rent, or $1 million more than from the parking lot.   That is, a $2.4 million annual rent payment on a lease that expires in 2017 on land restricted to parking that’s worth $24 million would increase to a $3.4 million annual rent payment on highest and best use land worth more than a half-billion dollars, with no competitive bid. 

In a June 30, 2015 San Francisco Examiner article, “Giants’ Mission Rock initiative submits signatures for November election,” Jon Golinger, co-chair of No Wall on the Waterfront, insisted that the buildings proposed for the Giants’ development are too tall. “The vast majority of the buildings are still either offices or luxury housing, and five of the buildings would be taller than 8 Washington,” Golinger said. “If 8 Washington was too big for the waterfront, then five 8 Washingtons are far too big for the waterfront.”

If this was another developer they wouldn’t even consider going to the voters asking for such a large height increase.  But it isn’t your typical developer.  It’s the Giants organization.  A San Francisco institution.  The Mission Rock Initiative is backed by the Mayor and all members of the Board of Supervisors, several of whom voted against the 8 Washington project. 

Over the next two months, the Giants organization and their political allies will stress the affordable housing, job creation, waterfront parks, and transformation of a parking lot into a neighborhood asset.  Which is fabulous and needed.  But if they really care they should drop the heights. The Giants initially wanted the tallest buildings to be 380 feet and reduced that to 240 feet.  That’s an old City Hall department head ploy, in which you ask for more knowing that you’re going to be reduced, and end up where you wanted be in the first place.

The only reason this initiative is being put to the voters is because of its increase in waterfront height limits, as required by Proposition B. B, approved in 2014, prevented the City from allowing any development on Port property to exceed height limits in effect as of January 1, 2014 unless voters endorsed the height limit increase. The Mission Rock Initiative website, Missionrock.com, includes renditions of the waterfront park, retail area and brewery.  Let’s be honest and show what the 24 stories are going to look like from the Bay.  Then let the voters decide.   Go to the actual site or Google maps.  Pan around the neighborhood.  Picture several buildings 24 stories high; think of the 18 story Fontana West at the end of Van Ness Avenue and picture it one-third, or six stories, higher. There are currently no buildings even half that size in Mission Bay, including the proposed Warrior stadium and structures on the University of California, San Francisco-Mission Bay campus. 

If this initiative is passed than 8 Washington should’ve been built. Voting “yes” on Proposition B and the height increase for the Pier 70 project was a waste of time, since the proposed 240 foot height limit will set the precedent for waterfront property heights. The 40 foot height limit was established to protect the waterfront.  The voters approved the Pier 70 development project, which increased heights to 90 feet.  Voters rejected the 8 Washington project, which wanted to increase the heights to 130 feet, but provided no affordable housing on site.  The Giant’s Mission Rock initiative asks for a height limit of up to 240 feet, 24 stories; this is way out of line. 

If you added all the heights of the Giant’s proposed eleven buildings, divided by eleven, and made adjustments for the building’s bases, you could accommodate all the space needed for the project with building heights of no more than 150 feet, 15 stories. 

John Farrell is a fifth generation San Franciscan and Westside resident.